In Rittenhouse

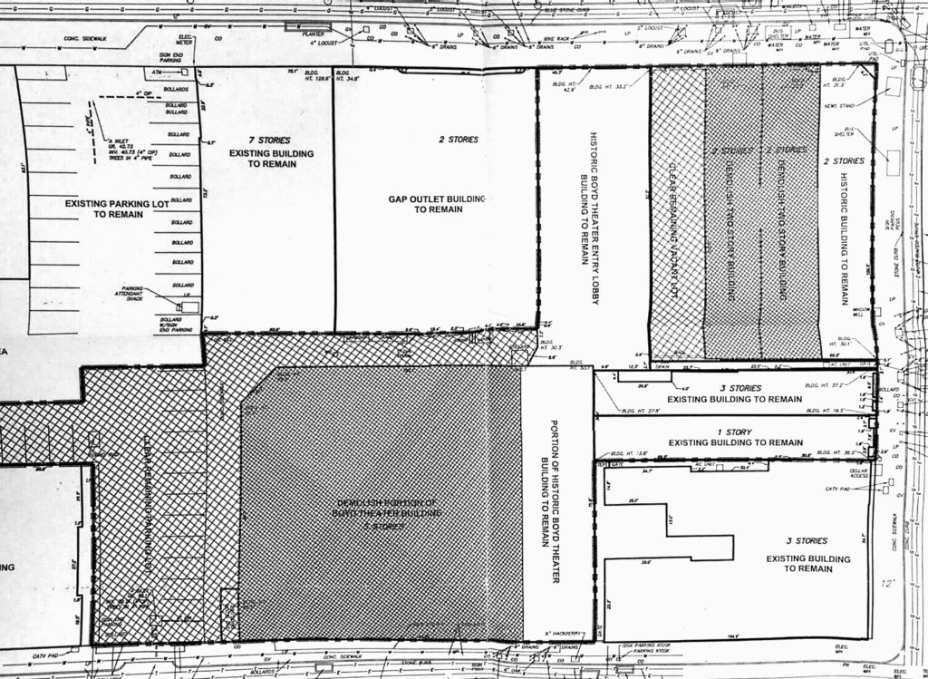
The beat goes on for the old Boyd Theater, a classic Art Deco gem that's sat vacant on the 1900 block of Chestnut Street for over a dozen years.Last spring, the Historical Commission told developers they could demolish the inside of the historic building and replace it with an iPic, an
Read More
In the last twenty years or so, there's been little change at the northwest corner of 22nd & South. L2 had quite a run, opening there in the late 1990s and closing their doors in the summer of 2013. Prior to that, Russian-themed vodka bar Cafe Republic came and went, and before that a Fifty's-style
Read More
Across the street from Rittenhouse Square sits one of Philadelphia's most prominent and embarrassing vacant lots. Once upon a time, the Rittenhouse Eric Theater made its home on the north side of the 1900 block of Walnut Street. When the hundred year old historic brownstone-turned-office next door caught fire in
Read More
Walking on the 2300 block of Naudain St., you'll quickly notice a curiously vacant lot and what looks like an aborted construction project or the remains of an old home. It's the latter- three homes stood here less than a year ago until a gas explosion took them out. Thankfully,
Read More
At the end of October, hundreds of excited shoppers let out a collective scream of excitement when Nordstrom Rack opened their doors at 17th & Chestnut in the space that was most recently home to Daffy's. Remember, we told you this was coming back in October of 2013. The building,
Read More
Over the weekend, we got a tip from a reader about 2028-34 Rittenhouse Sq., which is currently used as a parking garage.The buildingThe three story building looks like it was once a warehouse of some kind, though we couldn't tell you exactly what it was originally built for. Over the
Read More
Earlier this week, we updated you on the three-story building that's currently under construction at 15th & Walnut. As we told you, the steel for the building looks to be wrapping up.Current viewAfter our post went up, a representative from architects Bohlin Cywinski Jackson reached out and provided us with an updated
Read More
It's been a bit of a slow burn on the southeast corner of 15th & Walnut, where a new building is finally rising after years of planning. We first told you that three buildings on this corner would be demolished back in 2012, and brought you a rendering of the
Read More
It was more than a year ago that we first broke the news that a bunch of new homes were soon to rise on the 2100 block of Walnut Street at the intersection with Van Pelt Street. Back then, developers from Conservatory Group USA had presented plans for the construction of
Read MoreWe Came Upon Some Slightly Different Plans for 22nd & Walnut
22 October, 2014 | No Comments | Rittenhouse
Remember yesterday, when we told you that a surface parking lot at 22nd & Walnut would be disappearing with six new homes appearing in its place? The post set off a lengthy thread of comments, with people split on the concept of single family homes versus additional height and density at
Read More