The 200 block of Vine St. has become one of our most traversed blocks over the first part of this year, and not just because of the gorgeous homes at the corner of 2nd & Vine. Our most recent visit was to 208-12 Vine St. due to a zoning permit for demolition of a set of historic structures that had a number of conditions before it could move forward. We return today, as the last of the conditions has apparently been met.



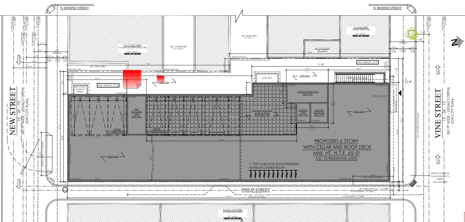
We didn’t know what was planned for this parcel, save for that it had been marketed as a 24-unit site. That listing also stated that the property was under contract – seemingly meeting the financing stipulation for demolition. But thanks to a recently issued zoning permit, we now know what the concrete plans are: 35 units across six floors were approved, with cellar and roof deck levels, along with parking for seven cars, along with two auto-share spaces. Details are still scant, but we do know that Landmark Architectural Design has put together the plans, meaning we can likely expect a contemporary take on the traditional themes we see in the area. Let’s scope out the very rough plans.


While we perhaps should have anticipated this, we were definitely caught off guard seeing these plans so soon. More details will come as this moves forward, with the plans needing the OK from the Historical Commission before anything rises on this spot. We can only hope that what does go up here at least attempts to replicate the character of the centuries old buildings that we will be losing.

Even though it hadn’t been very long, we were thrilled to see work happening across the street on another multi-family project in the works. The remaining historic building will receive an upgrade, while the foundation being dug next door will house a new construction triplex. 209 Vine Street is already changing the area, and it sure seems as if yet another project will be doing the same in short order.

Leave a Reply