If you’re looking for the epicenter of Philadelphia development in the last several years, look no further than the eastern edge of Northern Liberties. Whether it’s the 1,000+ units plus amenities at Piazza Alta, almost 500 units at the former Festival Pier, or the hundreds of additional units that have appeared on the west side of Delaware Ave. across multiple projects, this area is awash with new residents and new energy.

A couple years ago, we told you about yet another project that was seemingly poised to join the mix in this part of town, when plans for a 96 unit building at 901 N Front St. went in front of the Civic Design Review committee. Though this property has a Front Street address, the project was planned for the rear of the site, with frontage on Canal Street. It called for the demolition of a low-rise industrial building and the elimination of a small surface parking lot, all of which sounded great to us.



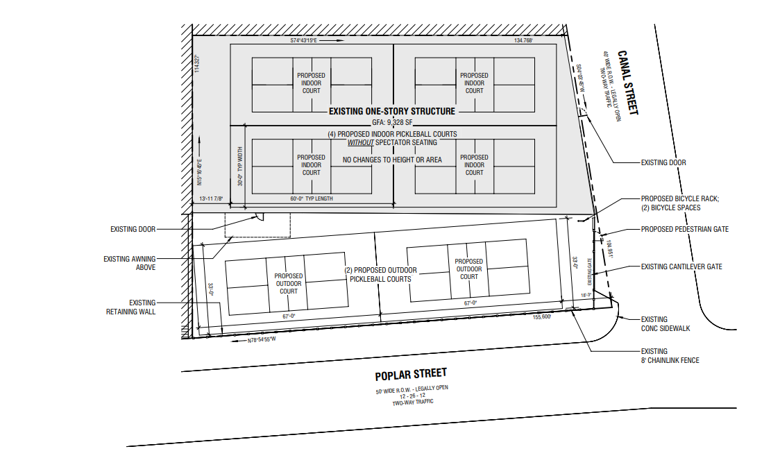
Though the project went through CDR and got a zoning permit, the project never moved forward. Now, it appears that something will be happening here, and it’s a fairly dramatic pivot away from a seven-story building. The building that’s on the site will remain, and it will be converted into a pickleball gym. Looking at the drawings from Woodcock Design, the building will contain four pickleball courts. The drawings make it very clear that these courts will not contain any spectator seating. We have to imagine this is somehow relevant to the zoning – maybe spectators would require a variance? Incidentally, the surface parking lot will turn into two pickleball courts, so theoretically someone could watch from the street. Shhh… don’t tell L&I.

While a pickleball gym is a perfectly fine use for a property in Northern Liberties, we confess we’re a bit bummed by this outcome. At the same time, we get it – the environment for multi-family development is tough and this part of the city has had some serious inventory to absorb. For now, we will hope that the pickleball gym is a temporary measure, while the owners of the site wait out a difficult market. It’s quite reasonable to expect that, in five years or so, this site will become much more compelling for redevelopment. For the owners, they can bring in a little income in the interim with this plan.
A century ago, low-rise commercial buildings were commonly used as so-called taxpayer buildings, to cover operating costs until a large redevelopment project eventually penciled out. In this case, a pickleball gym will play a similar role. This gym might seem like an aberration in this neighborhood, but the only constant in this neighborhood recently has been change. And with old zoning records showing there used to be a luncheonette at this location, these certainly won’t even be the first pickles served at this site!


Leave a Reply