It is always exciting, seeing development at scale spring up in spots that have long been neglected, and the Broad St. corridor north of Erie Ave. is certainly a place that fits this mold. After serving as the backbone of industry and commerce for years, we’re all aware that this part of N. Broad has seen disinvestment despite being immediately along the Broad Street Line. Stepping just off of Broad St., this phenomenon is even more pronounced, as the area quickly turns to a typical rowhouse neighborhood. However, for the property at 3901-05 Germantown Ave., just northwest of the busy intersection at Broad, Germantown, and Erie, there are plans at a scale we rarely see around here.

Currently a one-story structure that was once home to an auto service company, there are plans to create some additional density to this IRMX-zoned property. Before we check out the plans, let’s make our way to the site to take a gander at the scene today.

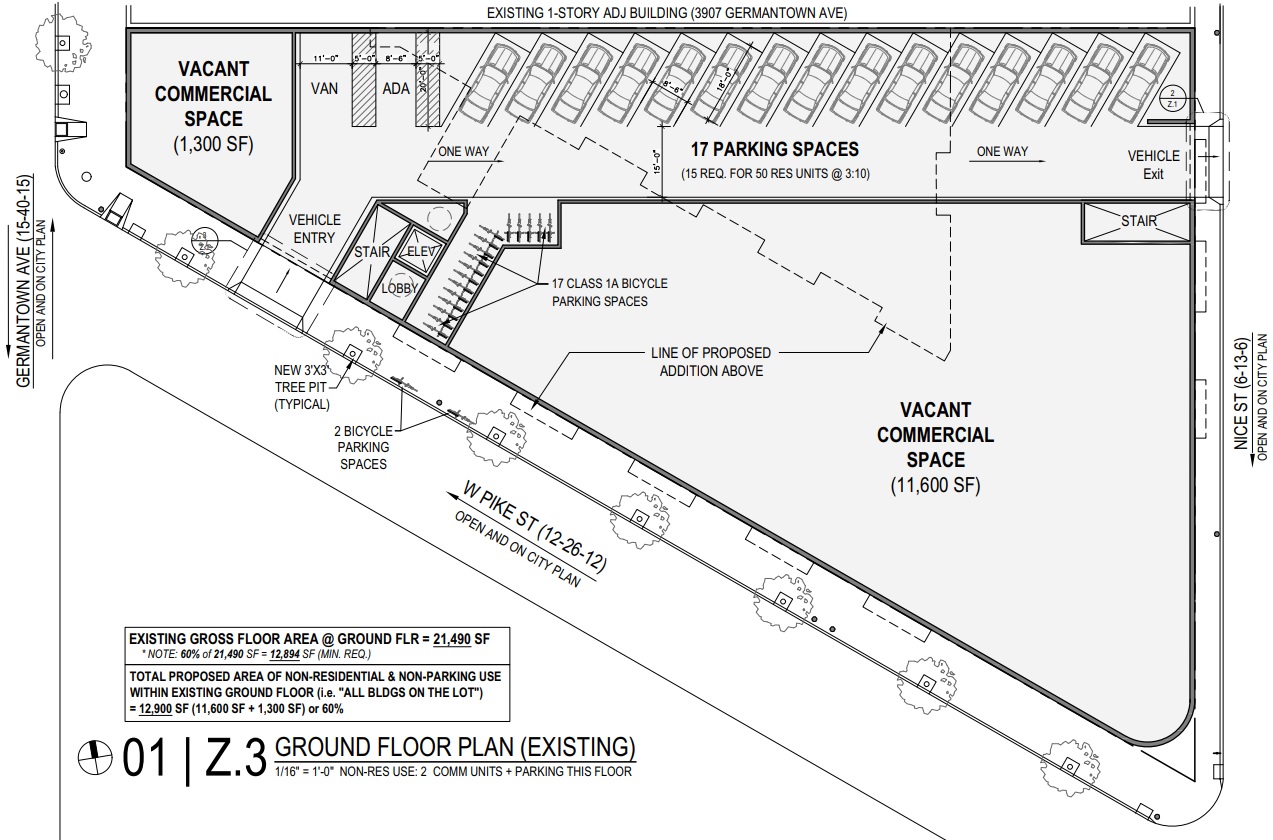
3901GermantownAve-01
An aerial of the site, looking NW up Pike St.
IMG_3176
Current view from Pike & Germantown of the one-story building
IMG_3177
The view east down Pike St. at the southern edge of the property
IMG_3178
Looking south down Germantown Ave. from the same corner

There’s plenty of gorgeous historic architecture in the vincinity, but the building in question is far from a stunner. We are pleased to share that zoning permits were just issued for a three-story addition to the existing structure, which will feature 50 units on those new upper floors. Two large commercial spaces will be located on the southern portion of the trapezoidal site, creating a more activated experience for folks walking near this busy area. Parking for 17 cars and 15 bicycles will be accessed via a one-way enclosed garage, with entry on Pike St. to the south and an exit out onto Nice St. to the east. The look from S2 Design, while we have few details, appears to be a contemporary, geometric pattern which uses window bays for additional depth.

3901GermantownAve-02
One large commercial space and one smaller space will share the ground floor with the parking area
3901GermantownAve-03
Elevation drawings show what appear to be balconies, creating a geometric look

We have to say, this is not something we would have expected to see here, but we’re all for it. To reuse an existing structure and add so many units so close to a major transit hub is always a wonderful thing. The fact that the design seems interesting and considered is also great to see (kudos for keeping the rounded corner at the SE corner), as we’ll occasionally see some cutting of corners with design in non-central locations. The addition of street trees will also wildly change the feel of the heavy industrial vibes of the area.

The unit mix is also interesting, as there is a good spread of one- to three-bedroom spots here, creating spaces for both singles and families. We have no idea what sort of businesses may take the ground floor spaces, but the zoning requires their inclusion, so here we are. It’s exciting to see new proposals here, as nearly the entire stretch of N. Broad St. is going through a fairly major reinvention, including at the close by Beury Building just a couple blocks to the south. Let’s hope this gets started soon and adds another new building to the neighborhood.