The other day, we got an email from Bella Vista Town Watch about a Zoning Meeting regarding an upcoming nineteen home development project at 8th and Christian. BVTW is holding a meeting to discuss this project on July 12th at 7:30pm at the Palumbo Rec Center. For what it’s worth, we think that this looks like a tremendous project that will fill in a giant vacant space in a very desirable part of town. And they’re providing parking! Throw in a dozen cannoli and we’re on board for sure.
Here’s what the area looks like today:
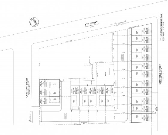
Here’s a schematic site plan and a rendering.
We’ll be sad to lose the murals, but this thing needs to get built. Once we get more information, we’ll be sure to pass it along.





Leave a Reply