Yeesh, another project for Washington Avenue? Yup, here comes a third consecutive post about this major artery whose development has been mostly arrested since the factories and coal yards moved away. A reader apparently saw our story yesterday about plans for a new mixed-use building at the corner of 12th & Washington, and they were spurred to share the news that a fence has gone up at 1100 E. Passyunk Ave. (also the corner of 8th & Washington), the former Captain Jesse's Crabs. Here, check it out:
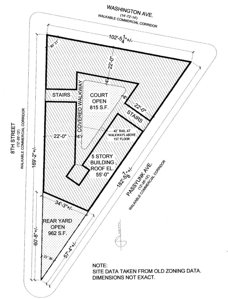
You probably don't remember, but we told you about this property way back at the end of 2011. Yikes, we've been doing this awhile. The property was available for sale for a couple years for $3M, but had come off the market at that point. While any 8,000+ sqft parcel near Center City sounds exciting, a $3M price tag was a little too dear, especially back then. Earlier this year, the property came back on the market at half the price, and was unsurprisingly snatched up in short order. Like the folks at 12th & Washington, these developers appear to be pursuing a by-right project. According to their zoning permit, they're planning a five-story building with ground-floor retail and sixteen apartments. This site plan from their zoning application shows the unusual shape of the property.
The building will have a rear yard on its southern side, but will also have an open courtyard in the middle of the building. Not only will this provide for additional windows for the units, but it will also allow the project to meet its open space requirement. Whoever thought this project through has designed something pretty clever on a uniquely shaped property. Good for them. And good for the people who live nearby, who will see this long-underused property get redeveloped. And to think we thought they already had it made, living so close to the Center City Pretzel Company.


Leave a Reply